どうも.
遅くなりましたが・・・・
先週の日曜日のカヤックフィッシング後半戦です.
といっても,釣果は前書いたとおりありません.
前回,魚群の正体はブリだった!という話を書きましたが,その時の魚探反応などです.
ブリはもともと根につく魚ではないと思っているので.あんまり瀬周辺を攻めるのも釣り方としては違うかと思うんですが,ベイトが瀬によっていれば,瀬周辺を攻めない手はないと思います.
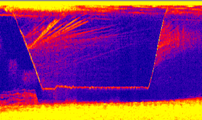
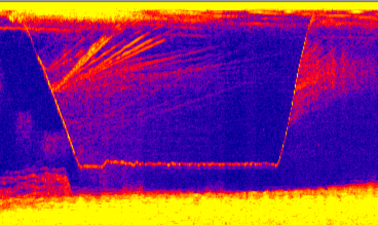
で,釣りきれない反応はこんな感じ・・・.
むちゃくちゃ悪くはないと思うんですけどね(笑.
うーんという感じです.
実際・・・・ジグを落とすと・・・.
ちょっと着いてきます!が,ジグを見て上昇するまでに至っていないあたりが食い気がないんでしょうね.
こういうときはもっとゆっくり落ちるジグのほうがよいのかも?
その他,ボトムを取るのがマズイのか?と思って反応のあるところのちょっとしたまで落としてシャクったりもしてましたが・・・.もうすこしこれをやればよかったかなと.
ちなみに,上の画像は潮下から魚群までのアプローチ,下が潮上から釣りをしているところなので,ボトムの形状が逆になってます.
で,ブリが映っていた映像の反応は.
こんな感じですね.
浅場で反応を見つけたので投入した見たところです.
水面から台形状に映っているのが水中カメラです(笑.
カメラが10mぐらいまでしか撮れないので,ボトムの様子を観察しようと思って色々試してみました.
こんな感じ.
下の画像ではなんか小さい魚が映っていました(笑.
魚種はわかりません.
他,
こういうところでは・・・
なんかいますが・・・・チャリコ?
という感じでした!
夕方になると・・・・ボイルが・・・・.
しかし,すぐ沈む・・・群れで1発2発でたら沈みます.
ベイトは何かなぁ?と思って見ていましたが,ベイトがデカイ!
1つはトビウオでした.飛びながら逃げていったのですぐ分かりました.
飛んで逃げるトビウオを追ってぶりが・・・・着水と同時にボフッ!っとやってましたね.
もう一つは恐らく,サッパ(カタボシイワシ)だったと思います.
ちょっと大きめのポッパーとかを持って行っておけば連れたかも知れませんね〜.
ちなみにボイルが起きている周辺の反応ですが.
こんな感じのパラパラとした反応です.
ということで,バーティカルに拘ってジグしか持って行きませんでしたが,やっぱりキャスティングも必要ですかね.ということで,次回からは一応キャスティングも積んでいこうと思います.
でわ.










コメント