どうもです.
また魚探ネタ.
果たして,私のブログ読者の方にGarminユーザーの方が何人いらっしゃるか疑問ですが,数人は知り合いが見てくれていることを期待します.
また,魚探選びで困っている,Garmin魚探はどんなことができるのか?
そういうことを知りたい人向けの記事でもあります.
ちなみに,GarminだけをヨイショするのはよくないのでLOWRANCEのために言っておきますが,LOWRANCEでも同様のことは別売りのソフトウェアを使えば出来ます.
ソフトウェアの出来は有料だけあってLOWRANCEのほうが数倍上です.
国内魚探もレコーディングできるものはありますが,民生レベルでPCに移してポイント編集などが出来るソフトウェアがあるとは聞いたことがありません.(あるかもしれませんが
ということで,前置きが長くなりましたが,今日のネタはソナーレコーディング機能について.
そもそもソナーレコーディング機能とは?
名前のとおりでして,魚探を記録する機能です.
LOWRANCEも,Garminでもレコーディングは可能です.
SideVu,ClearVu,通常魚探それぞれ録画することができます.
録画といっても画像としてレコーディングするわけではなく,生データを保存しています.
そのレコーディングデータはhomeportというGarmin製のアプリケーションで読み取ることが出来ます.そして,後からガラーゲインや感度を調整することも出来ます.
で,このレコーディングデータをどういう風に活用するのか?というのが今回のテーマになります.
1.レコーディングするには?
レコーディングを開始するには, レコーディングしたいソナー画面のメニューでレコーディングをスタートする必要があります.
SideVuをレコーディングするのか,通常魚探をレコーディングするのか?ClearVuをレコーディングするのか?それぞれで異なります.
個人的にはとりあえず,通常魚探をレコーディングしておくことをオススメします.
レコーディングは停止しなくても電源を切れば自動的に保存されていますが,レコーディングを中止したいときは同じメニュー画面から,レコーディングをストップする必要があります.
最初の写真と比べて貰えれば分かりますが,Record Sonarだったところが,レコーディング中はStop Recordingに変わります.
また,レコーディングしている画面にはRECのマークが出るので,レコーディング中ということは画面を見ればすぐに分かります.
こんな感じでRECマークとRECの文字が出ている画面は録画中ということになります.
レコーディングは1日中レコーディングしていてもいいですし,ちょこちょこ場面場面で区切ってレコーディングしても良いと思います.
2.レコーディングデータをhomeportで読み込むには?
レコーディングしたデータをパソコンで見るにはGarmin製のアプリケーションHomeportを使います.無料です.
ダウンロードはこちらから
https://buy.garmin.com/en-US/US/p/64242
homeportの更新は2015年に止まっています・・・.
色々欲しい機能あるからアップデートしてくれないかなぁと思っていますがとりあえず,現状でも使えます.無料なんだからごちゃごちゃ言うなって感じかもしれませんが.
ちなみにMacOSでもWindowsでも使えます.
私はMacOSなので,Windowsの人と若干画面が違うと思いますが基本操作は同じです.
Windows版も仮想環境下で動かしてみましたが,Mac版より動作が軽くて出来が良いようです.
インストールはほぼ開くだけなので,ここでは割愛します.
Homeportは英語ですが,中学までの英語知識で問題なく使えると思います.
ということで,読み込みについて説明していきます.
まず,レコーディングされたレコーディングデータはSDカードのSoner_Recordingフォルダの中にあります.拡張子は.RSDというデータになります.
Homeportを立ち上げて,SDカードを挿入すると,homeportのデバイス画面にSDカードとその中身が表示されます.
こんな感じです.
Sonar001とか書いてあるのがレーディングしたソナーデータになります.
レコーディングデータはSDカードからも読み込めますが,パソコン本体に移すことも出来ます.バックアップという意味でも,私は本体に移してから使用しています.
本体への移し方は,On My ComputerのMy Collection下に新規Listを作ってからそこに移すと良いと思います.私の場合は,行った釣行日毎にListを作って管理しています.
読み込むにはレコーディングデータをダブルクリックしてPlayを押せばOKです.
みせてもほぼ差し支えないような場面を出しています.
ソナーレコーディングデータに含まれている航跡とソナー画面が読み込まれます.
読み込むとこんな感じになります.右側に表示されているのがレコーディングしたデータ.
左側が航跡と地図で,オレンジ色になっているところは,今,右のソナー画面で表示しているところになります.
このあたりは文章で説明するより実際に使ってもらえると,すぐにわかると思います.
ちなみに,魚探画面の色合いを変えたければ,歯車マークのところから好きなカラースキームを選ぶことが出来ます.
私はBlueDayかBlueNightを良く使ってます.
最近はほぼBlueNight一択でしょうか.
カラースキームはどれがいいかは好みなので,自分の見やすいやつをみつけるのが大事だと思います.
また,カラーゲインやゲインを調整したければ歯車マークのところから出来ます.
私は魚を見つけるときはわりと濃いめでやってることがおおいですが,底質判定などはカラーゲインを抑えてやると見やすいと思います.
3.レコーディングデータの活用法色々
さて,レコーディングデータが読み込まれたら,▶の再生ボタンで再生することが出来ます.また,再生スピードもx1からx10まで選べます.
基本的にx10でいいと思います.
レコーディングしていて,ここのポイント,マーク打ち忘れたな?
ポイントがあったとしますと,
フラッグマークを選択して,魚探画面をクリックすることで,マークを打つことが出来ます.
※このマークを魚探に転送する方法は後ほど述べます.
また,マークの種類を変えたり,名前を変えたりすることもできます.
で,上の画像では,根の付け根と思われるちょっとベイトが溜まっている潮上にポイントマークを打ってみました.
左側の地図にもその場所が即座に反映されます.
このように,なかなか釣りをしている最中には忙しくてポイントをうつことができなかった場合にあとから編集できるという利点があります.
また,右側のレコーディング画面はあくまで魚探の画面なので,横の長さと実際の距離は一致しません.つまり,早く走っているときと,遅く走っているときで縮尺が異なってくるんです.
慣れてくると感覚のズレはなくなってきますが,なれないうちはわりとズレます.
そこで,物差し機能を使って,距離や高さを測ることが出来ます.
こんな感じです.
ここの場合,13mを2分46秒もかけて流れたということになります・・・.
そうです.この場所は全然潮が行ってなかったんですねぇ.
あとから,どれぐらいの潮流だったっけ?という場合も,距離を測って,時間でわればだいたいの船の流れるスピードが分かって,釣れた時の潮の速さを思い出すことが出来ます.
潮向きは地図上の航跡で分かりますし.
ということで,前回更新したブログでハタが釣れたポイントを今回,紹介してみたいと思います.
場所はなるべくバレないようにしていますが,分かってしまった人もコメント欄でのポイント公開は控えていただければ幸いです.
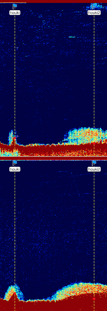
これです.
上が200kHz,下が50KHzの魚探になります.
一旦通り過ぎて,潮上から流し返します.
こんな感じで,海底にポツンと現れる小さなハンプ.
こういうところに大型のハタは居たりするものです.
深場に落ちるハタは難しいかもしれませんが,他の大型ハタの期待も少しあります.
で,ここ,だいたいの場所は釣ってる時にマークを打ってるんですが,精密にマークを打っておきたいと思います.なので,ここを例にして,Homeportで編集したポイントマークを魚探に転送するデモをやりたいとおもいます.
とりあえず,フラッグで,瀬のてっぺんと瀬のキワにマークを打ちます.
瀬のてっぺんをhouki,キワをhouki2と名前つけました.
ちなみに,この先のレコーディングデータ,実際に釣れたところの魚探画面を次にお見せするのですが,ここで,homeportの面白い機能が明らかになります.
少しスクロールすると,houki2という根のキワに打ったはずのフラッグが右側に出てきてます.
Homeportは魚探画面にマークを打った場所と近い場所がまた魚探画面に出てきた時に,自動で追従してくれるんです.
ちょっとこの機能については説明が難しいので,実際使って見られるとわかると思います.
判定基準は分かりませんが半径5mぐらい以内に入ると表示するような気がします.
ということで,ほぼ完璧に瀬を通るように流せていることがこれでわかると思います.
ちなみにですが,この瀬はモノサシツールで測ると,横幅が25m,高さが6mほどです.
そう考えると大きいような・・・小さいような・・・・.
でもこういう小場所を見つけることが非常に大事だと個人的には思ってます.
こうやってポイントを編集していると,Homeport左側に上のようなListが出てきます.
これを魚探に移すという作業について次に説明します.
4.Homeportで編集したポイントをGarmin本体へエクスポートする
homeportで編集したポイントを魚探に移す説明をします.
ここの操作は誤ると現在の魚探に入れているポイントがすべて消失するので自己責任で行って下さい.
まず,魚探に移したいポイントデータを選択します.
複数選択可能です.
ポイントデータが選択できたら,
Send Listを押します.
このとき,SDカードを挿して,きちんとHomeportで認識されていることが必要です.
そうするとこんな感じの画面が出てきます.
ADMファイルというのはポイントデータなどを格納するファイル形式です.
で,Select your Garmin GPS deviceにちゃんと自分の魚探が表示されていることを確認します.
で,今新しく,送りたいポイントデータをまとめたADMファイルファイルを作るので,下のCreate a new ADM fileを選んで,適当に名前をつけます.今回はtestと名前をつけています.
下のSelect what you would like to send は送りたい項目を選んでくだいさ.ということなので,今回はWaypoints and 〜を選びます.
これでSendを押します.
Transfer Completeで転送完了です.
転送後,自分のSDカード内にここで送ったADMファイルが出来ているか確認して下さい.
今回の場合はtest.ADMになります.
User Data内に格納してあるはずです.
そうしましたら,一旦SDカードを取り出して,魚探の方へ行きます.
魚探の電源を入れて,立ち上がっている状態にしてからSDカードを挿入すると,次のような画面が出ます.
ここで,Manage User Dataを選択すると
こんな感じの画面になって,魚探とSDカードのデータのやり取りが出来るようになります.
ここではカードからデータを読み取って,今ある魚探のデータに付け加えるので,Marge from Cardを選びます.File TypeはADMにしておいて下さい.
そうすると,どのADMデータをマージするか聞いてきますので,さっき作ったtest.admを選択します.
すぐに転送が始まります.
電源とかを落とさないように気をつけて下さい.
これで転送完了です.
実際に見てみましょう.
こんな感じです.houkiとhouki2があります.
0495とか0493とかは私が釣り中に打ったマークになります.
このHOUKIとHOUKI2は高さにして6mの差があるのですが,QuickDrawConourを持ってしても,そういう地形図表示にはなりません.
QuickDrawContourは0.3m毎の等深線!とよくコマーシャルされていますが,正確には〜50mまでは0.3m毎,50m〜100mは1m毎になります.100m〜200mは2m毎,200m〜は5m毎になります.
細かい地形変化にはやはりポイントマークが必須だと思います.
ポイントマークの打ち方なんかも今後記事にしていけたらと思っています.
そうしたなかでQuickDrawによる地形図はもっと広い,数百メートル単位でのその日魚が集まりやすいであろう場所を探すのに有効であると感じています.
という感じで,今日は長くなりましたが,ソナーレコーディングとhomeportの連携について書いてみました.
homeportの活用法はこの記事に書いたことだけではありません.
例えば,あとからカラーゲインやゲインを調整できることを利用した活用法などもあります.
おいおい記事にしていけたらと思っています.
参考になれば幸いです.
ここからは余談です.
そういえば,今週末はブラックフライデーですね.
日本でお得というより,海外通販的にお得だったりする気がします.
※Garmin魚探の個人輸入に興味ある方がいらっしゃれば相談のります.LINE@かメール,Facebookなどからコンタクト下さい.
完全に自己責任ですが,国内で買うよりはかなり安いですよ.
国内で買いたいキモチは当然自国愛的な意味からありますが,金儲けしか考えていないようなところから買う気にはなりません.
この前は友人が紹介したセールでEchomapCharp 72sv +GT52HWのセットを500ドル(日本価格16万のセットです)で買ってました.私も誤植かと思ってたらマジだったぽいです.ま,それはかなり特殊な例なので,そこまで安く買えることはまず無いです.
国内のGarminは対してアフターも良くないとも聞きます(これは知り合いからのタレコミです.
小売店がスペック間違って記載していたり,問い合わせても返信が無かったり,個人的にはあんまり信用できません・・・.






















コメント
こんばんは、ミヤです。いつも興味深い記事をありがとうございます。本体の設置法や振動子の設置法など使うまでにまだ時間がかかるかもしれませんが、楽しみにしています。不人気な(笑)魚探ネタを今後も時々アップ頂けると嬉しいです!
どうもです.
正直,ネタが枯渇しつつあるので,魚探ネタもちょこちょこ書いていきます!
魚探変えたら魚が2倍も3倍も釣れるようになるわけではないですが,楽しさは倍増するように思います.
振動子けっこうデカイですよね・・・.がんばってください.