どうもです.
あんまり人気のない魚探ネタです.
ですが!アングラーの方ちょっと待って下さい.
魚探の見方,考え方が分かってるアングラーって私が思ってるよりめちゃくちゃ少ないんですよね・・・・.
魚探の見方が分かるようになれば,魚探反応にあったジャーク,ジグ選択ができるようになります.
人間側の処理能力が追いつくのであれば,情報は多いに越したことはありません.
ということで,このブログを機会にして魚探についても考えてもらえれば嬉しいなと思っています.
で,今,この記事は書き直しています・・・.
というのも書き始めたところ,中学理科の授業のような内容になってしまい,これ,終わらないな!と思ったからです.
そういう魚探の基礎の基
礎はまた別記事に残すこととして,今日はGARMIN魚探のClearVuを難しいロジックをできるだけ簡易的な説明に圧縮して,いくつか画像も出して,紹介していこうかなと思います.
ClearVuについて簡単に説明しておくと,通常魚探では使わない「高周波帯域の魚探」ということになります.使われる周波数帯は260kHz,455kHz,800kHzっていう周波数帯になります.
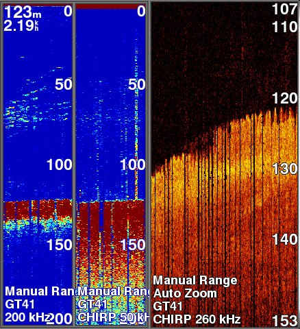
さて,ここで,通常魚探のイメージを1つご覧いただきたいと思います.
左は200kHzの魚探,右は50kHzの魚探です.
さて,コレを見て,海底がどんな感じになっているか,分かる方は居ますか?
むちゃくちゃ魚探を見慣れている人なら,だいたいこんな感じだろうなぁというのを,予想することが出来ると思います.
その答えをClearVu画像でお見せします.
こんな感じ.
これは260kHzでのClearVu画像になります.
Zoomモードで海底を拡大していますが,実際は海底に高さ5mぐらいのハンプ(こぶ)があったんですねー.さらにはコブは1つではなく,奥行方向に1つ,手前には3mほどのこぶがある,つまり,単体のコブではなく,複数個こぶがある.ということも分かります.
わりとゴツゴツした大きい岩がいくつか沈んでいるイメージです.
これがClearVu回路の強みです.
通常魚探から,こうなってんじゃないかなぁ?と思ってたものを可視化することができるのです.
並べて表示してみます.
低い周波数帯はメリットとしては回折角が大きいので,広域の情報を収集できる点,しかし,周波数が低いことにも起因して,分解能は低いです.
高い周波数帯は回折角が小さいため,少しの範囲の情報しか得られませんが,分解能が高いです.
あくまで魚探に映し出される1コマ送りの情報は振動子から発信された超音波が回折を起こして広がって,いろいろな物体に干渉して戻ってきて,それを解析して得られるもので,真下だけの情報を得ているわけではないということを理解しておく必要があります.
50kHzからはなんとなく山なりになってんのかなぁぐらいにしか分かりません.
200kHzでは海底のオビキが急激に不連続になっているので,急に柔らかい底床から硬い底床に急になったなと判断できますし,最後の方が霞んでいるため,わりと急なかけ下がりがあるようにも見えます.
というように通常魚探画面からも,ここが何らかのポイントになる可能性がある.とは推測できるのですが,本当か?といわれると,うーん・・・という感じになてしまいます.
ClearVuは上に示した通り,かなりの高分解能で海底の形状を把握できます.
個人的にこれは,革命的だと思っています.
ちなみにですが,上の画像の場所にはいいサイズの根魚が着いてました.ピンポイントを狙って釣ることができるのがGARMINのClearVuです.
ちなみに同様の技術は他のメーカーにもあるんですが,90mぐらいまでしか映らないんですよね.
GARMINの260kHzのClearVuは250mまでは映ることを私の実機で確認しています.
200m前後では同じぐらいの分解能で見ることが出来ます.
魚探を見慣れている人ほど上の画像は衝撃的だとおもいます.
こういう性能の魚探が振動子込みで10万を切ってくる(GPSMAP 585 Plus+GT-21).
ヤバイ時代が来ているなと個人的には思います.
これを使いこなせるか使いこなせないかで運命が分かれる日もあるだろうなと.
最後に,他にも2点参考画像を載せておきます.
60mラインですが,
こんな感じ,底に3〜4mの小さな岩が沈んでいます.
通常魚探からもなんとなく察しはでしますが,ここまでクリアに見せられては・・・.
結構急激なハンプがあることは200kHzの二次反射からも分かります.
魚探を見ることに精通していた人でなければ予想できていなかったことがClearVuなら「現実」として映し出されます.
ちょっとボケた画像ですが,120mラインのかけあがりの中に,小さな段々がある場所です.こういうところも根魚が付きやすい瀬なんですよね〜.こういう情報も200kHzのオビキの変化からも読み取れる反面,クリアビューならよくわかります.
ちなみにですが,50m〜75m付近に映ってるのは魚です.
って感じで,今回はClearVuの威力について書いてみました.
※今回載せた画像はすべて私が撮影したスクリーンショットです.※
でわ.






コメント
うーむ、クリアビュー甘く見てました(~_~;)僕はストライカー4ですが、CV付きにしておけば良かったと思わされた記事でしたwwwむしろ次はクイックドロー付きのエコーマップ45あたりが最低ラインかなと痛感。経済的に個人輸入ですがwジオフェンスないようで安心しました。
コメントありがとうございます!
CVはまぁまぁ役に立ちますよー(個人的に.
この前カヤックフィッシングに行って色々スクリーンショット撮ってきたので,釣行記と合わせて紹介したいと思います.
GARMINの日本代理店は本当にボッタクリですね・・・.
42cvとか海外なら振動子付きで260ドルとかですし・・・STRIKER4のcvなしなんか100ドルですよ.びっくり値段です.
でもまぁ,通常魚探でも十分仕事できると思うので,半分は自己満足かなぁと思います!